
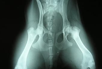
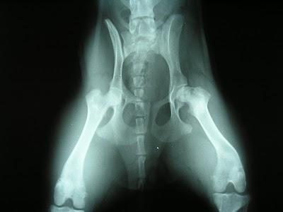
La malattia di Legg - Perthes Calve’ e'una patologia della testa del femore causata da una carenza dell'afflusso del sangue alla testa del femore durante l'età dello sviluppo, a causa di questa alterata irrorazione l'osso "muore" dando come risultato perdita di tessuto osseo con conseguente collasso della struttura ossea del collo e testa del femore che si deforma appiattendosi. La patologia riscontrata tra i cinque e gli otto mesi di età , le razze maggiormente colpite sono quelle toy , si manifesta all’inizio con una lieve zoppia con il progredire della malattia il cane sottrae l’arto al carico per il dolore intenso.
.
Una volta confermata la diagnosi di LPD il trattamento è di tipo chirurgico e consiste nel rimuovere la testa del femore danneggiata (osteoctomia della testa del femore).
Dopo l’intervento chirurgico e’ importante la fisioterapia per impedire l’atrofia muscolare e abbreviare i tempi di recupero.
